Aprueba la Cámara de Diputados la ley contra la extorsión
Ciudad de México, 29 Oct-25 (Agencia).- La Cámara de Diputados aprobó anoche la ley general contra la extorsión, que prevé un tipo penal básico...
UV suspende clases en campus de Veracruz y Boca del Río...
Xalapa, Ver., 28 Oct-25 (VRed).- La Universidad Veracruzana (UV) suspenderá las actividades presenciales, académicas y administrativas en los campus de Veracruz y Boca del...
Personas muertas por fuertes lluvias en México sube a 81; Veracruz...
Ciudad de México, 28 Oct-25 (Agencia/VRed).- Este 28 de octubre de 2025, la información sobre las afectaciones por lluvias e inundaciones en Hidalgo, Veracruz,...
FF-11 y aire polar dejarán lluvias y heladas en México
Ciudad de México, 28 Oct-25 (Agencia/VRed).- El Servicio Meteorológico Nacional (SMN) informó que el frente frío número 11 avanza este martes por el noroeste...
Circulan veladoras con explosivos en Papantla, Veracruz; alertan a la población
Veracruz, Ver., 28 Oct-25 (Agencia/VRed).- Veladoras que en su interior contienen explosivos escondidos fueron detectadas por fuerzas de seguridad de los tres órdenes de...
Harfuch anuncia acciones contra la extorsión en Michoacán tras asesinato de...
Ciudad de México, 28 Oct-25 (Agencia/VRed).- Omar García Harfuch, secretario de Seguridad y Protección Ciudadana (SSPC), viajó a Michoacán para encabezar una reunión con...
Productores rechazan oferta del gobierno; persisten bloqueos en diversas entidades
Ciudad de México, 28 Oct-25 (Agencia/VRed).- Morelia, Mich. Al no llegar a un acuerdo entre autoridades del gobierno federal y productores de grano, en...
HR Ratings mantiene calificación positiva para Pemex en octubre
Ciudad de México, 28 Oct-25 (Agencia/VRed).- La agencia HR Ratings ratificó la calificación de HR AAA con Perspectiva Estable para Petróleos Mexicanos (Pemex) en...
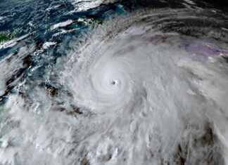
El poderoso huracán Melissa toca tierra en Jamaica como categoría 5
Ciudad de México, 28 Oct-25 (Agencia/VRed).- El poderoso huracán Melissa tocó tierra este martes en Jamaica con vientos feroces y lluvias torrenciales, convirtiéndose en...
SEP repondrá libros de texto en escuelas de estados afectados por...
Ciudad de México, 28 Oct-25 (Agencia/VRed).- Mario Delgado, secretario de Educación Pública (SEP), informó que se distribuirán nuevos libros de texto gratuitos en las...














