Etiqueta: Huracán Ian
‘Ian’ se convierte en huracán; provocará lluvias fuertes en la península...
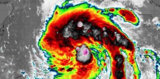
Yucatán., 26 Sept-22 (Agencia).- La Comisión Nacional del Agua (Conagua) informó que ‘Ian’ se convirtió en un huracán categoría 1 en la escala Saffir-Simpson.
El...
